PST History
Learn more about the rich history of the PST Lake Association and the community that makes it so special.
PST Historical Articles
Table of Contents
Ponemah Beach (Ponemah Dr) Related Articles
Shiawassee River Related Articles
Allen's Landing Related Articles
Resort News and Newspaper Advertisements
Franks Taven (Blacks Landing/Lakeview Dr./S.Eastview)
Eastview Dr. Trailer Park 1950's/60's
Four Lakes Ave. Community - Squanemah Shores
Wes Koan - North Rd Land Owner
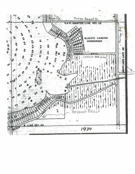
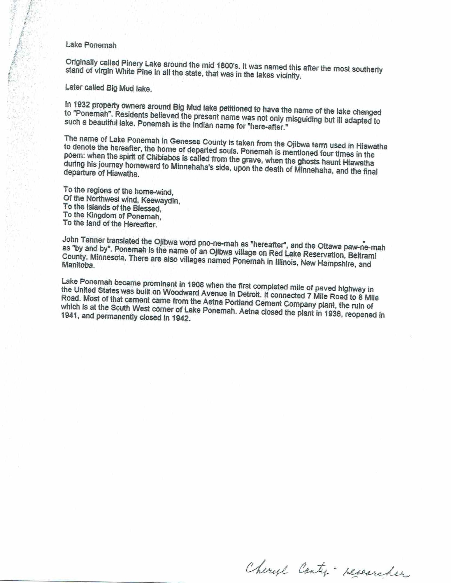
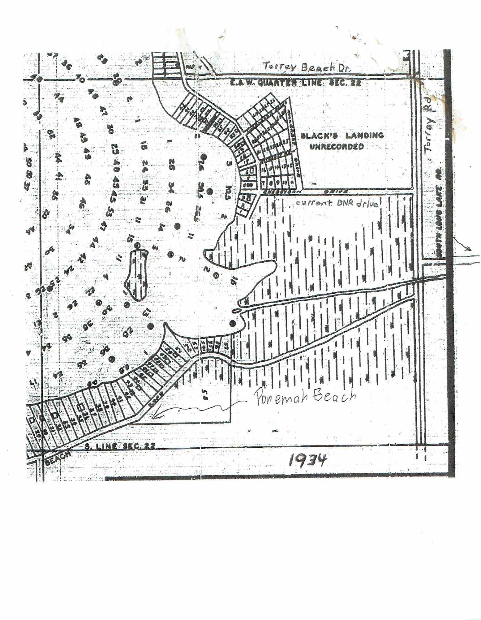
Renaming of Big Mud Lake to Lake Ponemah (1932)
Online Article Links
Squaw Lake renamed Aanikegamaa Lake - Tri-County Times
Name change surprises Fenton Township lakeside community | Local | abc12.com
Click on the images below to view them larger.
You can also Click Here to visit dropbox to be able to view pdf's of all the articles.
General Articles
Click on the images below to view them larger.
You can also Click Here to visit dropbox to be able to view pdf's of all the articles.
Ponemah Beach (Ponemah Dr) Related Articles
Click on the images below to view them larger.
You can also Click Here to visit dropbox to be able to view pdf's of all the articles.
Squaw Lake Related Articles
Click on the images below to view them larger.
You can also Click Here to visit dropbox to be able to view pdf's of all the articles.
Tupper Lake Related Articles
Click on the images below to view them larger.
You can also Click Here to visit dropbox to be able to view pdf's of all the articles.
Shiawassee River Related Articles
Riverbed flow inprovements from Tupper Lake to Millpond (including Linden Dam)
Click on the images below to view them larger.
You can also Click Here to visit dropbox to be able to view pdf's of all the articles.
Allen's Landing Related Articles
and Mickey Allen's Tavern (at the railroad crossing)
Click on the images below to view them larger.
You can also Click Here to visit dropbox to be able to view pdf's of all the articles.
Various Resort News and Newspaper Advertisements
Click on the images below to view them larger.
You can also Click Here to visit dropbox to be able to view pdf's of all the articles.
Frank's Tavern (Blacks Landing/Lakeview Dr/S. Eastview Related Articles
Click on the images below to view them larger.
You can also Click Here to visit dropbox to be able to view pdf's of all the articles.
Eastview Dr. Trailer Park (1950's-60's)
Click on the images below to view them larger.
You can also Click Here to visit dropbox to be able to view pdf's of all the articles.
Four Lakes Ave. Community "Squanemah Shores"
Click on the images below to view them larger.
You can also Click Here to visit dropbox to be able to view pdf's of all the articles.
Wes Koan - North Rd Land Owner
Dredged and subdivided the channels in the 1960's.
Click on the images below to view them larger.
You can also Click Here to visit dropbox to be able to view pdf's of all the articles.
Cement Plant
Aetna - Portland Big Mud Lake - Lake Ponemah.
Site at the current Krupp Dr.
Click on the images below to view them larger.
You can also Click Here to visit dropbox to be able to view pdf's of all the articles.
Renaming of Big Mud Lake to Lake Ponemah 1932
Click on the images below to view them larger.
You can also Click Here to visit dropbox to be able to view pdf's of all the articles.
Fishing Contests and Tales!
Click on the images below to view them larger.
You can also Click Here to visit dropbox to be able to view pdf's of all the articles.
Bob Black's Landing
Later known as Lakeview Dr. Now S. Eastview Dr.
Click on the images below to view them larger.
You can also Click Here to visit dropbox to be able to view pdf's of all the articles.
Torrey Beach And Campground
Eastview Dr.
Click on the images below to view them larger.
You can also Click Here to visit dropbox to be able to view pdf's of all the articles.
Videos
Extended family, fun weekend at 14041 Squaw Lake Dr. Summer 1972.
Family picnic on the patio of 14041 Squaw Lake Dr. followed by a slow pan of video to south end of Squaw Lake. Summer 1972































































































































































































































